こんにちは!
伊豆高原ダイビングスクール渋谷店の土屋です!
今回は、11月22日〜23日に開催した館山4ボートツアーの様子をお届けします✨
ご参加いただいたのは、いつも定期的にツアーに参加してくださる親子リピーター様!
毎度本当にありがとうございます☺︎
今回の舞台は「波左間海中公園」と「伊戸(サメスクランブル)」!
2日間でたっぷり4ダイブ、館山の海の魅力を存分に味わってきました!

■1日目:波左間海中公園(透明度8〜15m)
🌊1本目:高根
定番の水中神社にて安全祈願&記念撮影からスタート!
鳥居の前でパシャリ📸そのまま人気のウミエラ畑へ!

今回はカメラの不調で記録は残せませんでしたが、
一面に広がる咲き乱れたウミエラ畑に、ゲスト様も僕も大感動。
水中に広がる幻想的な風景に、時間を忘れて漂いました。

戻ってくる途中、水中ドーム下に隠れていた大きなテングダイを発見!
魚影の濃さも抜群で、終始にぎやかな水中世界を楽しめました🐟
🌊2本目:ドリーム
水深が深めなため長居はできませんが、
ソフトコーラルの美しさ、キンギョハナダイの乱舞、そしてここでもコブダイ!
なんと牡蠣を割っての餌付け体験まで!

ドリームの持つ独特の雰囲気と鮮やかな世界観に、
参加されたゲスト様は一気にトリコになっていました☺︎

僕個人的には、ウミトサカとミノカサゴの幻想的なコラボが印象的でした🪸
🍽️夜ご飯は【磯の香亭 伝平】さんで!
普段は出前で利用することが多いですが、今回は店舗でしっかりディナー!
ゲスト様には名物の”めめ幸丼”をおすすめし、僕は天丼を。
どちらも間違いなしの美味しさで、お腹も大満足🤤

🛏️宿泊は【ペンション キャッチボール】
レトロ感漂う、アットホームな雰囲気のペンション。
内湯が2つに露天風呂も!けど正直、疲れてすぐ爆睡でした〜笑

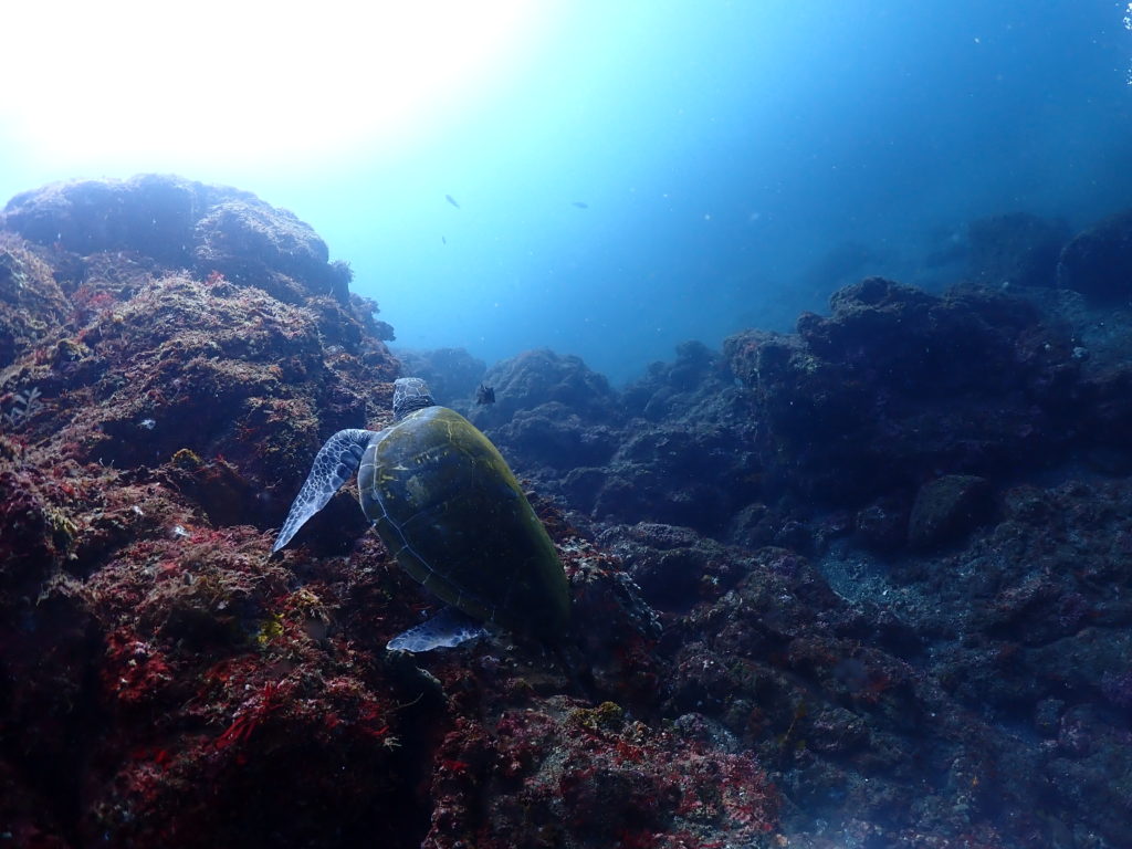
■2日目:伊戸(透明度8〜15m)
🦈1本目:西→中央エントリー
潮の流れは穏やかで、とても快適なダイビングに!
エントリー直後に出会ったのは、巨大クエの”マリオ”!
その威圧感に圧倒されながら、のんびり西の根を探索。

途中にはクマノミやミツボシクロスズメダイ、
そしてクロホシイシモチの大群が前を遮るほど発生!
そこへ突撃してくるドチザメやアカエイの迫力も最高でした!!

🦈2本目:中央→ブロック魚礁
このダイブはなかなか流れてました〜!
水面・水底ともにしっかり流れていて、いい経験に笑

ブリが大群で回遊!
それを狙って集まるサメ、エイ、コブダイ、クエ、ヒゲダイ…
まさにシャークスクランブルの名にふさわしいカオス感でした。

ちなみに、ヒゲダイは顎髭が僕に似ていると紹介しておきました。笑
最後は気の済むまで写真・動画撮影タイム📸
ガッツリ魚たちに囲まれて、水中の迫力にどっぷり浸かれました✨
■まとめ
波左間も伊戸も、どちらも水中の個性が強く
1本1本に違った魅力が詰まっていました!
地形派も生物派も、フォト派も楽しめる
館山エリア、やっぱり最高ですね!
今回は親子ゲスト様との和やかで笑いの絶えないツアーとなりました😊
またのご参加を心よりお待ちしています!
冬もたくさんツアーを企画してますので
興味ある方はお気軽にご連絡くださいっ!!
店舗・筆者情報
店舗名: 伊豆高原ダイビングスクール渋谷店
住所:東京都渋谷区渋谷1−8−5 グローリア宮益坂503
電話番号: 03−6421-0981
メールアドレス: shibuyadive@tbz.t-com.ne.jp
営業時間: 12:00〜21:00
休み: 不定休
公式LINE: https://lin.ee/4YpNom5
公式Instagram:@shibuya.diving
筆者プロフィール
名前: 土屋 遼将(ツチヤ リョウマ)
生年月日: 1998年3月2日
経歴: 大学卒業後、単身で小笠原へ移住。自然の素晴らしさ、海の素晴らしさ、そしてダイビングの面白さ・素晴らしさに魅了される。
ダイビングの魅力を広めるために帰京し、都内の別ダイビングショップを経て、現在 伊豆高原ダイビングスクール渋谷店 店長 に就任。

































































